世語圖說
2025年10月01日
登陸網站
聯繫我們
首頁
新聞
快訊/「新北等5縣市」今達停班課標準!最新風雨預測出爐~
2025-09-23
舒黛葉
反饋
1
/
3
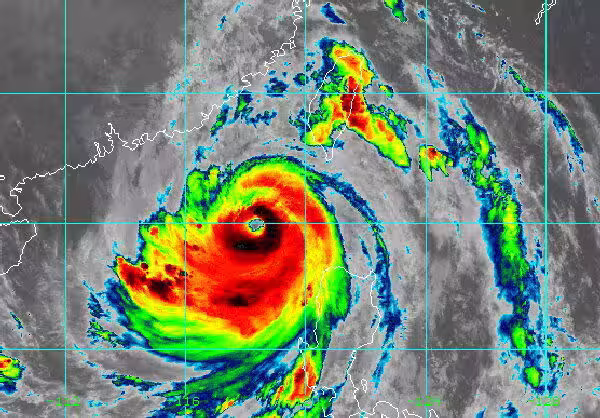
快訊/「新北等5縣市」今達停班課標準!最新風雨預測出爐
根據《ETtoday新聞雲》報導,中央氣象署今晨發布最新颱風動態,強烈颱風樺加沙逐漸遠離台灣,預計今日上午8時30分解除陸上警報。
不過目前仍有多個地區受到強風豪雨影響,部分縣市宣布停班停課。
上一頁
1
/
3
下一頁
小六童學校墜樓亡,昨晚擁抱成永別!家長慟:怎麼就沒了
管輝若 • 3K次觀看
認了毆打中風父!44歲台灣女星痛哭「爸爸陳屍家中!」
舒黛葉 • 7K次觀看
一周超過10次!51歲女子確診胰腺癌,家人崩潰: 勸了多次都不聽
劉奇奇 • 3K次觀看
凌晨癌逝!資深女歌手「突惡化病危」享年50歲!
舒黛葉 • 6K次觀看
樺加沙颱風/周一「颱風假」放定了? 5縣市戒備!
舒黛葉 • 1K次觀看
中視小生驚傳「從11樓跳下身亡」享壽76歲~
舒黛葉 • 3K次觀看
離婚好聚好散!59歲名嘴不再婚「邀前妻同住8千萬豪宅養老」承諾今生不再婚,照顧她到老!
管輝若 • 1K次觀看
午間快訊/大咖男星「跑步機上猝逝」享年44歲
舒黛葉 • 1K次觀看
快訊/ 印尼發生大地震~
管輝若 • 4K次觀看
67人罹難「已打撈40多具」!「前世界冠軍夫妻檔」攜23歲子搭死亡班機 一家三口殞命!
舒黛葉 • 3K次觀看
快訊/最新颱風動態出爐了! 周一「颱風假」放定了! 5縣市戒備!
舒黛葉 • 4K次觀看
他深夜走了!男星驚傳「肺癌末期病逝」享年34歲....留鉅額遺產!
管輝若 • 2K次觀看
交通新制「今天上路」 違規「秒罰7萬2」汽機車都嚴格取締~
管輝若 • 2K次觀看
快訊/今午後10縣市達停班課標準 全台最新風雨預測出爐!
舒黛葉 • 920次觀看
《鳥來伯》又一演員離世!王彩樺「哀慟人生好無常」陷悲傷走不出,彼此相處「歡樂像一家人」:回憶在人卻不在!
舒黛葉 • 2K次觀看
快訊/明天7縣市風雨「達停班課標準」 最新預測出爐~
舒黛葉 • 1K次觀看
快訊/ 台北颱風假「明停班停課」? 市府回應了!
舒黛葉 • 4K次觀看
2.2億遺產到手,具俊曄連夜返韓,S媽人財兩空痛訴:騙子與傻子的遊戲!
舒黛葉 • 10K次觀看
60人出殯隊伍被撞飛!慘劇釀19死「 逝世老者兩兒皆亡 」「 驚悚現場曝光 」律師搖頭:恐要負擔責任.
管輝若 • 2K次觀看
縱橫演藝圈37年!61歲資深女星,「驚傳醫院過世」老公悲痛發訃告
舒黛葉 • 3K次觀看
快訊 / 震撼!賴清德重大宣布
管輝若 • 1K次觀看
初代瓊瑤女神!65歲女星「目睹尪墜樓身亡」獨居12年 近照曝光「斷崖式衰老」網全認不出
舒黛葉 • 2K次觀看
全台變天!8級強風要來了 大豪雨狂轟「6地影響最劇!」
舒黛葉 • 1K次觀看
演藝圈悲痛!資深大咖驚傳「買便當倒下猝逝」搶救不治!
管輝若 • 3K次觀看